(Προς Πώληση) Αξιοποιήσιμη Γη Οικόπεδο || Ν. Λάρισας/Λάρισα - 1.600 τ.μ, 11.000€

Χαρακτηριστικά

Περιοχή Λάρισα (Δ. Λάρισας)
Υποπεριοχή
Κοντά σε Γήπεδο,Σχολείο,Εκκλησία, ΑΓΡΟΤΕΜΑΧΙΑ
Κατηγορία Αξιοποιήσημη Γη
Τύπος Οικόπεδο
Τιμή 11.000€
Τ.μ. Οικοπέδου
Επίπεδα
WC
ΠΕΑ
e-agents ID 1708222
Κωδικός 22177
Σ.Δ.
Σ.Κ.
Χρήση Γης Αμιγής Κατοικία
Σχέδιο Πόλεως Εντός σχεδίου
 

Επιπλέον Χαρακτηριστικά

Προσόψεως Οικοδομήσιμο Με άδεια οικοδομής Κατάλληλο για αγροτική χρήση
 

Περιγραφή

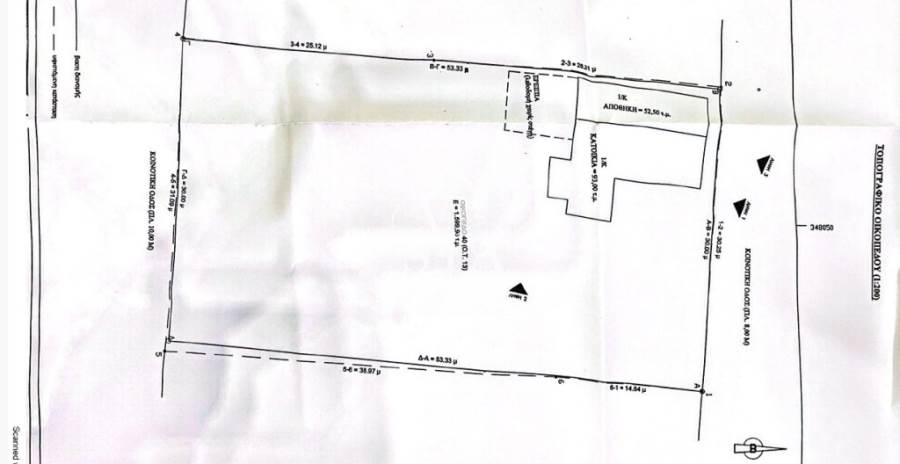
Κουτσόχερο: Σε ένα όμορφο χωριό, δίπλα στην πόλη της Λάρισας πωλείται οικόπεδο 1600τ.μ. εντός του οικισμού.

Το οικόπεδο είναι άρτιο και οικοδομήσιμο κατά κανόνα, σύμφωνα με τις ισχύουσες πολεοδομικές διατάξεις. Έχει άδεια οικοδομής πλήρης αποκατάστασης της οικίας εμβαδού 93τ.μ. από κρατική επιχορήγηση και δεν οφείλει εισφορά σε γη και χρήμα.

Η πρόσοψή του είναι 30,25μ. και το βάθος του είναι 53,33μ., με προσανατολισμό βορειοδυτικό.

Πρόκειται για ένα ακίνητο που είναι ιδανικό είτε για ιδιοκατοίκηση, είτε για εκμετάλλευση γης.

Μια πρόταση που σας προσφέρει αποκλειστικά η INVESTA Real Estate – Ακίνητα Λάρισα.

Υπεύθυνη συνεργάτης: Βαλεντίνα Μπάκα
www.investa.com.gr

follow us:
www.facebook.com/investaestate
www.instagram.com/investa.real.estate

Γνωρίζετε την αξία του ακίνητου σας;
Επικοινωνήστε σήμερα μαζί μας για μια ΔΩΡΕΑΝ εκτίμηση του ακινήτου σας!

Χάρτης

Σημεία Ενδιαφέροντος

Κοντά σε: Γήπεδο,Σχολείο,Εκκλησία, ΑΓΡΟΤΕΜΑΧΙΑ

Στατιστικά Ακινήτου

Δημοσίευση Ακινήτου: 22 Απρ, 2024
Τελευταία ενημέρωση: 29 Σεπ, 2025
 
Socialize it Εκτύπωση

Με Ενδιαφέρει το ακίνητο

*
*
Συμπληρώστε την φόρμα και πατήστε αποστολή. Τα πεδία με * είναι υποχρεωτικά
Εισάγετε τον κωδικό

Υπολογισμός Δανείου

Συμπληρώστε το Επιτόκιο (χωρίς το σύμβολο %} και τη Διάρκεια αποπληρωμής σε έτη. Αν επιθυμείτε μπορείτε να αλλάξετε και το ποσό
(%)
(έτη)
(Προς Πώληση) Αξιοποιήσιμη Γη Οικόπεδο || Ν. Λάρισας/Λάρισα - 1.600 τ.μ, 11.000€


Χαρακτηριστικά

Έτος Κατασκευής: Σ.Δ.: Σ.Κ.: Χρήση Γης: Αμιγής Κατοικία Σχέδιο Πόλεως: Εντός σχεδίου Κοντά σε: Γήπεδο,Σχολείο,Εκκλησία, ΑΓΡΟΤΕΜΑΧΙΑ
Περιοχή: Λάρισα (Δ. Λάρισας) Υποπεριοχή:
Κατηγορία: Αξιοποιήσημη Γη Τύπος: Οικόπεδο
Τιμή: 11.000€ Εμβαδόν: 1600m2
Τιμή/τ.μ. 7€ Υ/Δ:
Μπάνια: Όροφος:
WC: Θέα:
ΠΕΑ: Κωδικός: 22177

Επιπλέον Χαρακτηριστικά

Προσόψεως Οικοδομήσιμο Με άδεια οικοδομής Κατάλληλο για αγροτική χρήση
 

Περιγραφή

Κουτσόχερο: Σε ένα όμορφο χωριό, δίπλα στην πόλη της Λάρισας πωλείται οικόπεδο 1600τ.μ. εντός του οικισμού.

Το οικόπεδο είναι άρτιο και οικοδομήσιμο κατά κανόνα, σύμφωνα με τις ισχύουσες πολεοδομικές διατάξεις. Έχει άδεια οικοδομής πλήρης αποκατάστασης της οικίας εμβαδού 93τ.μ. από κρατική επιχορήγηση και δεν οφείλει εισφορά σε γη και χρήμα.

Η πρόσοψή του είναι 30,25μ. και το βάθος του είναι 53,33μ., με προσανατολισμό βορειοδυτικό.

Πρόκειται για ένα ακίνητο που είναι ιδανικό είτε για ιδιοκατοίκηση, είτε για εκμετάλλευση γης.

Μια πρόταση που σας προσφέρει αποκλειστικά η INVESTA Real Estate – Ακίνητα Λάρισα.

Υπεύθυνη συνεργάτης: Βαλεντίνα Μπάκα
www.investa.com.gr

follow us:
www.facebook.com/investaestate
www.instagram.com/investa.real.estate

Γνωρίζετε την αξία του ακίνητου σας;
Επικοινωνήστε σήμερα μαζί μας για μια ΔΩΡΕΑΝ εκτίμηση του ακινήτου σας!

Στατιστικά Ακινήτου

Δημοσίευση Ακινήτου: 22 Απρ, 2024
Τελευταία ενημέρωση: 29 Σεπ, 2025
Συνολικές επισκέψεις:
Loading...